Encontre preços batatos em leilões judiciais e extrajudiciais de carros, imóveis e outros bens.
Casa de Leilões

Casa de Leilões

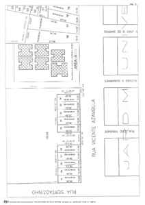
LOTE Nº 08, DESMEMBRADO DA CHÁCARA 42-H, SITUADO NA RUA VICENTE AZAMBUJA, COMARCA DE PONTA PORÃ/MS

Lote 001 - LOTE 08, DESMEMBRADO NA CHÁCARA 42-4, DA ZONA B, DA REGIÃO DE SANTO THOMAZ, NA COMARCA DE PONTA PORÃ-MS.

Lance inicial: R$ 40.000,00
Ver lote no site do leiloeiro

Sobre o lote

Lote  08, desmembrado na Chácara 42-H, da Zona B da região de Santo Thomaz, nesta cidade; está situado na Rua Vicente Azambuja, a uma distância de 444,00m do encontro das Ruas Vicente Azambuja com a João Ponce de Arruda (face norte), medindo 12,00m de frente por 36,00m da frente aos fundos, perfazendo uma área total de 432,00m², com as seguintes medidas e confrontações: ao Norte com o lote 09, medindo 36,,00m; ao Sul com o lote 07, medindo 36,00; ao Leste, com a chácara 42-I, medindo 12,00m; ao Oeste com a rua Vicente Azambuja, medindo 12,00m. Matrícula nº 33.464, 25 de setembro de 2001, do 1º Ofício de Registro de Imóveis de Ponta Porã/MS. Terreno baldio e rua asfaltada.

Sobre o leilão
Local: MATO GROSSO DO SUL
Abertura: 10/11 - 09:00
Encerramento: 11/11 - 18:03
Modalidade: ONLINE
Leilão: Único
Sobre o leiloeiro
Casa de Leilões
Casa de Leilões
 

 

Atuando desde 1988, a Casa de Leilões é uma empresa organizadora de leilões com experiência comprovada em Leilões Públicos de Imóveis, veículos, máquinas pesadas, móveis, aeronaves, artes e bens em geral. Realiza a classificação de bens, divulgação, publicação de editais, responsabilidade nos recebimentos, entregas e demais atividades pertinentes ao ramo, com leilões totalmente transparentes e eficazes, com a participação do público em geral. 

O empresário, industrial ou o usuário final interessado em adquirir bens, tem nos leilões uma grande oportunidade de comprar e vender e...

Importante: O site Comprar em Leilões não é responsável pelos leilões, apenas faz a divulgação dos mesmos.

Não é possível dar lances ou fazer compras nesse site, você será sempre direcionado para o site do leiloeiro responsável.